Headshot for Associate Silvia Alcaraz
  1. Silvia Alcaraz, REALTOR ®
  2. Premier Realty Group
  3. Your Guiding Light to Homeownership
  4. sagoldenhome@gmail.com
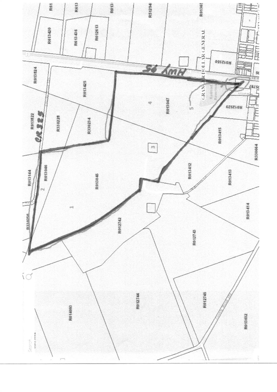
000 Tbd Hwy 95 & Cr 325, Granger, TX 76530
  • MLS#: ACT7043100 ( Land )
  • Street Address: 000 Tbd Hwy 95 & Cr 325
  • Viewed: 36
  • Price: $8,899,999
  • Price sqft: $0
  • Waterfront: No
  • Waterfront Type: None
  • Year Built: Not Available
  • Bldg sqft: 0
  • Days On Market: 663
  • Additional Information
  • Geolocation: 30.7323 / -97.4495
  • County: WILLIAMSON
  • City: Granger
  • Zipcode: 76530
  • Elementary School: Granger
  • Middle School: Granger
  • High School: Granger
  • Provided by: Tierra Grande Realty, LLC
  • Contact: Carl Cleveland
  • (737) 864-5330
  • DMCA Notice
  • Description
    Great manufacturing or warehouse buildings area located in an opportunity zone investors bring your 1031 exchange to invest in the growing future in this area. Exciting opportunity awaits! Explore the potential of this dynamic property nestled just north of austin in one of texas' most rapidly expanding counties. Offering over half a mile of frontage on state highway 95 and more than 1,000 feet along county road 325, this site is primed for commercial, industrial, or mixed use development. Strategically positioned within the ambit of growth, the property aligns with the long term vision outlined in the williamson county transportation plan, hinting at future value enhancements. Notably, granger, the vibrant city nearby, recently celebrated the groundbreaking of a new high school slated for completion in fall 2024. Situated a mere 12 miles north of the forthcoming $17 billion samsung semiconductor facility in taylor, tx, this locale brims with promise. With part of the property straddling granger's city limits and the rest within its etj, the possibilities are vast. With potential access to water and utilities, the land's rich clay soil presently supports cultivation and grazing activities, while benefiting from a ag exemption for tax appraisal purposes. A gentle creek meanders along the southern boundary, enhancing the landscape and offering opportunities for thoughtful development. Consider the myriad of potential applications, from purely commercial or industrial ventures to a blend of residential and commercial along cr 325. Explore possibilities like storage facilities, or rv accommodations, with granger lake a convenient five mile journey away. While a train track separates the property from state highway 95, it adds character and accessibility to this exceptional investment opportunity. Don't miss your chance to shape the future of this dynamic location!
Request More Information
  • All fields are required.
Features
Waterfront Description
  1. None
Home Owners Association Fee
  1. 0.00
Carport Spaces
  1. 0.00
Close Date
  1. 0000-00-00
Country
  1. US
Covered Spaces
  1. 0.00
Garage Spaces
  1. 0.00
High School
  1. Granger
Insurance Expense
  1. 0.00
Legal Description
  1. AW0571 AW0571 - Stratton
  2. G.S. Sur.
  3. Acres 0.144;AW0388 LEACH
  4. WM. SUR.
  5. ACRES 1.0 AW0463 MCKINNEY & WILLIAMS SUR. ACRES 10.41;AW0571 AW0571 - Stratton
  6. G.s.Sur ACRES 69.856 AW0388 LEACH
  7. WM. SUR.
  8. ACRES 105.72
Living Area
  1. 0.00
Lot Features
  1. Open Lot
Middle School
  1. Granger
Area Major
  1. WE
Net Operating Income
  1. 0.00
Open Parking Spaces
  1. 0.00
Other Expense
  1. 0.00
Other Structures
  1. None
Parcel Number
  1. 12038800000012
Property Type
  1. Land
School Elementary
  1. Granger
Sewer
  1. None
Tax Year
  1. 2023
Utilities
  1. See Remarks
View
  1. Rural
Views
  1. 36
Water Source
  1. None
Liked Listings
Headshot for Associate Silvia Alcaraz
  1. Silvia Alcaraz, REALTOR ®
  2. Premier Realty Group
  3. Your Guiding Light to Homeownership
  4. sagoldenhome@gmail.com